Bebauungspläne Gemarkung Oftersheim
Hinweis: Nicht für jedes Gebiet auf der Oftersheimer Gemarkung liegt ein Bebauungsplan vor.
Verwendete Abkürzungen:
ZF = zeichnerische Festsetzung
TF = textliche Festsetzung
BG = Begründung
Übersichtskarte der einzelnen Bebauungspläne in Oftersheim
01 Bebauungsplan "Ortserweiterung Süd-Ost"
| Typ | Name | Datum | Größe |
|---|---|---|---|
| BG. B-Plan Ortserweiterung Süd-Ost (PDF,683 KB) | 16.09.2025 | 683 KB | |
| TF. B-Plan Ortserweiterung Süd-Ost 5.Änderung (PDF,138 KB) | 16.09.2025 | 138 KB | |
| TF. B-Plan Ortserweiterung Süd-Ost textliche Festsetzung.pdf (PDF,146 KB) | 16.09.2025 | 146 KB | |
| ZF. B-Plan Ortserweiterung Süd-Ost 5.Änderung (PDF,191 KB) | 16.09.2025 | 191 KB | |
| ZF. B-Plan Ortserweiterung Süd-Ost zeichnerische Festsetzung.pdf (PDF,4,1 MB) | 16.09.2025 | 4,1 MB |
02 Bebauungsplan "Wiesengärten"
| Typ | Name | Datum | Größe |
|---|---|---|---|
| BG. B-Plan Wiesengärten (PDF,326 KB) | 16.09.2025 | 326 KB | |
| TF. B-Plan Wiesengärten (PDF,27 KB) | 16.09.2025 | 27 KB | |
| ZF. B-Plan Wiesengärten (PDF,1,9 MB) | 16.09.2025 | 1,9 MB |
03 Bebauungsplan "Sanierungsgebiet Heidelberger Straße - Wiesenstraße"
| Typ | Name | Datum | Größe |
|---|---|---|---|
| BG. B-Plan Sanierungsgebiet Heidelberger Straße - Wiesenstraße (PDF,2,2 MB) | 16.09.2025 | 2,2 MB | |
| TF. B-Plan Sanierungsgebiet Heidelberger Straße - Wiesenstraße (PDF,26 KB) | 16.09.2025 | 26 KB | |
| ZF. B-Plan Sanierungsgebiet Heidelberger Straße - Wiesenstraße.jpg (JPG,2,1 MB) | 16.09.2025 | 2,1 MB |
04 Bebauungsplan "Gewerbegebiet Röhlich 1. Änderung
| Typ | Name | Datum | Größe |
|---|---|---|---|
| BG. B-Plan Gewerbegebiet Röhlich 1. Änderung (PDF,575 KB) | 31.03.2026 | 575 KB | |
| TF. B-Plan Gewerbegebiet Röhlich 1. Änderung (PDF,327 KB) | 31.03.2026 | 327 KB | |
| ZF. B-Plan Gewerbegebiet Röhlich 1. Änderung.pdf.pdf (PDF,2,9 MB) | 22.04.2026 | 2,9 MB |
04.1 Bebauungsplan "Gewerbegebiet Röhlich 2. Teil 1. Änderung"
| Typ | Name | Datum | Größe |
|---|---|---|---|
| TF. B-Plan Gewerbegebiet Röhlich 2. Teil 1. Änderung.pdf (PDF,178 KB) | 22.04.2026 | 178 KB | |
| BG. B-Plan Gewerbegebiet Röhlich 2. Teil 1. Änderung (PDF,642 KB) | 22.04.2026 | 642 KB | |
| ZF. B-Plan Gewerbegebiet Röhlich 2. Teil 1. Änderung (PDF,1,6 MB) | 22.04.2026 | 1,6 MB |
05 Bebauungsplan "Sanierung Mannheimer Straße - Mozartplatz"
| Typ | Name | Datum | Größe |
|---|---|---|---|
| BG. B-Plan Mannheimer Straße-Mozartplatz (PDF,908 KB) | 16.09.2025 | 908 KB | |
| TF. B-Plan Mannheimer Straße-Mozartplatz 1. Änderung (PDF,24 KB) | 16.09.2025 | 24 KB | |
| ZF. B-Plan Mannheimer Straße-Mozartplatz (PDF,5,5 MB) | 16.09.2025 | 5,5 MB |
06 Bebauungsplan "Verlängerung Kirchgärtenweg"
| Typ | Name | Datum | Größe |
|---|---|---|---|
| TF. B-Plan Verlängerung Kirchgärtenweg (PDF,19 KB) | 16.09.2025 | 19 KB | |
| ZF. B-Plan Verlängerung Kirchgärtenweg (PDF,3,7 MB) | 16.09.2025 | 3,7 MB |
07 Bebauungsplan "Kuhbrunnenweg - Am Waldfreiden"
| Typ | Name | Datum | Größe |
|---|---|---|---|
| TF. B-Plan Kuhbrunnenweg - Am Waldfrieden (PDF,20 KB) | 16.09.2025 | 20 KB | |
| ZF. & BG. B-Plan Kuhbrunnenweg - Am Waldfrieden (PDF,5,9 MB) | 16.09.2025 | 5,9 MB |
08 Bebauungsplan "Nördlicher Dreieichenweg"
| Typ | Name | Datum | Größe |
|---|---|---|---|
| TF. B-Plan Nördlicher Dreieichenweg (PDF,19 KB) | 16.09.2025 | 19 KB | |
| ZF. & BG. B-Plan Nördlicher Dreieichenweg (PDF,6,5 MB) | 16.09.2025 | 6,5 MB |
09 Bebauungsplan "Links am Plankstadter Weg"
| Typ | Name | Datum | Größe |
|---|---|---|---|
| BG. B-Plan Links am Plankstadter Weg (PDF,399 KB) | 16.09.2025 | 399 KB | |
| TF. B-Plan Links am Plankstadter Weg (PDF,181 KB) | 16.09.2025 | 181 KB | |
| ZF. B-Plan Links am Plankstadter Weg (PDF,2,7 MB) | 16.09.2025 | 2,7 MB |
10 Bebauungsplan "Zwischen Mannheimer Str. und Max-Planck-Str."
| Typ | Name | Datum | Größe |
|---|---|---|---|
| BG. B-Plan Zwischen Mannheimer Str. und Max-Planck-Straße (PDF,1,4 MB) | 16.09.2025 | 1,4 MB | |
| TF. B-Plan Zwischen Mannheimer Str. und Max-Planck-Straße (PDF,25 KB) | 16.09.2025 | 25 KB | |
| ZF. B-Plan Zwischen Mannheimer Str. und Max-Planck-Straße (PDF,4,2 MB) | 16.09.2025 | 4,2 MB |
11 Bebauungsplan "Zwischen Fohlenweide - Leimbach"
| Typ | Name | Datum | Größe |
|---|---|---|---|
| TF. B-Plan Zwischen Fohlenweide und Leimbach (PDF,93 KB) | 16.09.2025 | 93 KB | |
| ZF. B-Plan Zwischen Fohlenweide und Leimbach (PDF,9,6 MB) | 16.09.2025 | 9,6 MB | |
| ZF. B-Plan Zwischen Fohlenweide und Leimbach 1. Änderung (PDF,3,5 MB) | 16.09.2025 | 3,5 MB |
12 Bebauungsplan "Hardtwaldsiedlung - Hockenheimer Str."
| Typ | Name | Datum | Größe |
|---|---|---|---|
| TF. B-Plan Hardtwaldsiedlung - Hockenheimer Straße (PDF,31 KB) | 16.09.2025 | 31 KB | |
| ZF. B-Plan Hardtwaldsiedlung - Hockenheimer Straße (PDF,4,4 MB) | 16.09.2025 | 4,4 MB |
13 Bebauungsplan "Zwischen Karlstraße und Leimbach"
| Typ | Name | Datum | Größe |
|---|---|---|---|
| TF. Bebauungsplan Zwischen Karlstraße und Leimbach (PDF,95 KB) | 16.09.2025 | 95 KB | |
| ZF. Bebauungsplan Zwischen Karlstraße und Leimbach (PDF,3,3 MB) | 16.09.2025 | 3,3 MB |
14 Bebauungsplan "Königsberger Str. - Breslauer Straße"
| Typ | Name | Datum | Größe |
|---|---|---|---|
| TF. B-Plan Hardtwaldsiedlung - Königsberger Straße - Breslauer Straße.pdf Anlage 1 und 2 (PDF,114 KB) | 16.09.2025 | 114 KB | |
| TF. B-Plan Hardtwaldsiedlung Königsberger Straße Breslauer Straße (PDF,27 KB) | 16.09.2025 | 27 KB | |
| ZF. B-Plan Hardtwaldsiedlung - Königsberger Straße - Breslauer Straße (PDF,4,9 MB) | 16.09.2025 | 4,9 MB |
15 Bebauungsplan "Mannheimer Str. Grundstücke 652-662"
| Typ | Name | Datum | Größe |
|---|---|---|---|
| TF. B-Plan Mannheimer Straße Flst.Nr. 652-662 (PDF,478 KB) | 16.09.2025 | 478 KB | |
| ZF. B-Plan Teiländerung B-Plan Mannheimer Straße (PDF,6,9 MB) | 16.09.2025 | 6,9 MB |
16 Bebauungsplan "Kleingartengebiet Seeäcker"
| Typ | Name | Datum | Größe |
|---|---|---|---|
| TF. B-Plan Kleingartengebiet Gemeiner Seeacker (PDF,20 KB) | 16.09.2025 | 20 KB | |
| ZF. B-Plan Kleingartengebiet Gemeiner Seeacker (PDF,1,9 MB) | 16.09.2025 | 1,9 MB |
17 Bebauungsplan "Kleingartengebiet Münchswiese Wenzenwiese"
| Typ | Name | Datum | Größe |
|---|---|---|---|
| B-Plan Münchswiese Wenzenwiese Pflanzliste (PDF,727 KB) | 17.01.2025 | 727 KB | |
| TF. B-Plan Münchswiese Wenzenwiese (PDF,45 KB) | 16.09.2025 | 45 KB | |
| ZF. B-Plan Kleingartengebiet Münchswiese Wenzenwiese (PDF,4,5 MB) | 16.09.2025 | 4,5 MB |
18 Bebauungsplan "Kleingartenbetrieb Kurze Haiden"
| Typ | Name | Datum | Größe |
|---|---|---|---|
| TF. B-Plan Kleingartengebiet Kurze Haiden (PDF,21 KB) | 16.09.2025 | 21 KB | |
| ZF. B-Plan Kleingartengebiet Kurze Haiden (PDF,2,8 MB) | 16.09.2025 | 2,8 MB |
19 Bebauungsplan "Kleingartengebiet im Sand auf den Kohlwald"
| Typ | Name | Datum | Größe |
|---|---|---|---|
| TF. B-Plan Im Sand auf den Kohlwald (PDF,31 KB) | 16.09.2025 | 31 KB | |
| ZF. B-Plan Im Sand auf den Kohlwald (PDF,2,4 MB) | 16.09.2025 | 2,4 MB |
20 Bebauungsplan "Zwischen Leimbach und Schule"
| Typ | Name | Datum | Größe |
|---|---|---|---|
| TF. B-Plan Wohngebiet Zwischen Leimbach und Schule (PDF,72 KB) | 16.09.2025 | 72 KB | |
| ZF. B-Plan Wohngebiet Zwischen Leimbach und Schule (PDF,4,9 MB) | 16.09.2025 | 4,9 MB |
21 Bebauungsplan "Gewerbegebiet Alter Schießstand"
| Typ | Name | Datum | Größe |
|---|---|---|---|
| BG. B-Plan Gewerbegebiet Alter Schießstand (PDF,449 KB) | 16.09.2025 | 449 KB | |
| TF. B-Plan Gewerbegebiet Alter Schießstand (PDF,51 KB) | 16.09.2025 | 51 KB | |
| ZF. B-Plan Gewerbegebiet Alter Schießstand (PDF,3,2 MB) | 16.09.2025 | 3,2 MB |
22 Bebauungsplan "Wohngebiet Nord-West"
| Typ | Name | Datum | Größe |
|---|---|---|---|
| BG. B-Plan Wohngebiet Nord-West (PDF,522 KB) | 16.09.2025 | 522 KB | |
| TF. B-Plan Wohngebiet Nord-West (PDF,813 KB) | 16.09.2025 | 813 KB | |
| ZF. B-Plan Wohngebiet Nord-West (PDF,28,6 MB) | 16.09.2025 | 28,6 MB |
23 Bebauungsplan "Auf den Ketscher Weg"
| Typ | Name | Datum | Größe |
|---|---|---|---|
| BG. B-Plan Auf den Ketscher Weg (PDF,470 KB) | 16.09.2025 | 470 KB | |
| TF. B-Plan Auf den Ketscher Weg (PDF,431 KB) | 16.09.2025 | 431 KB | |
| ZF. B-Plan Auf den Ketscher Weg (PDF,2,3 MB) | 16.09.2025 | 2,3 MB |
24 Bebauungsplan "Mannheimer Straße"
| Typ | Name | Datum | Größe |
|---|---|---|---|
| ZF. B-Plan Mannheimer Straße.jpg (JPG,6,9 MB) | 16.09.2025 | 6,9 MB |
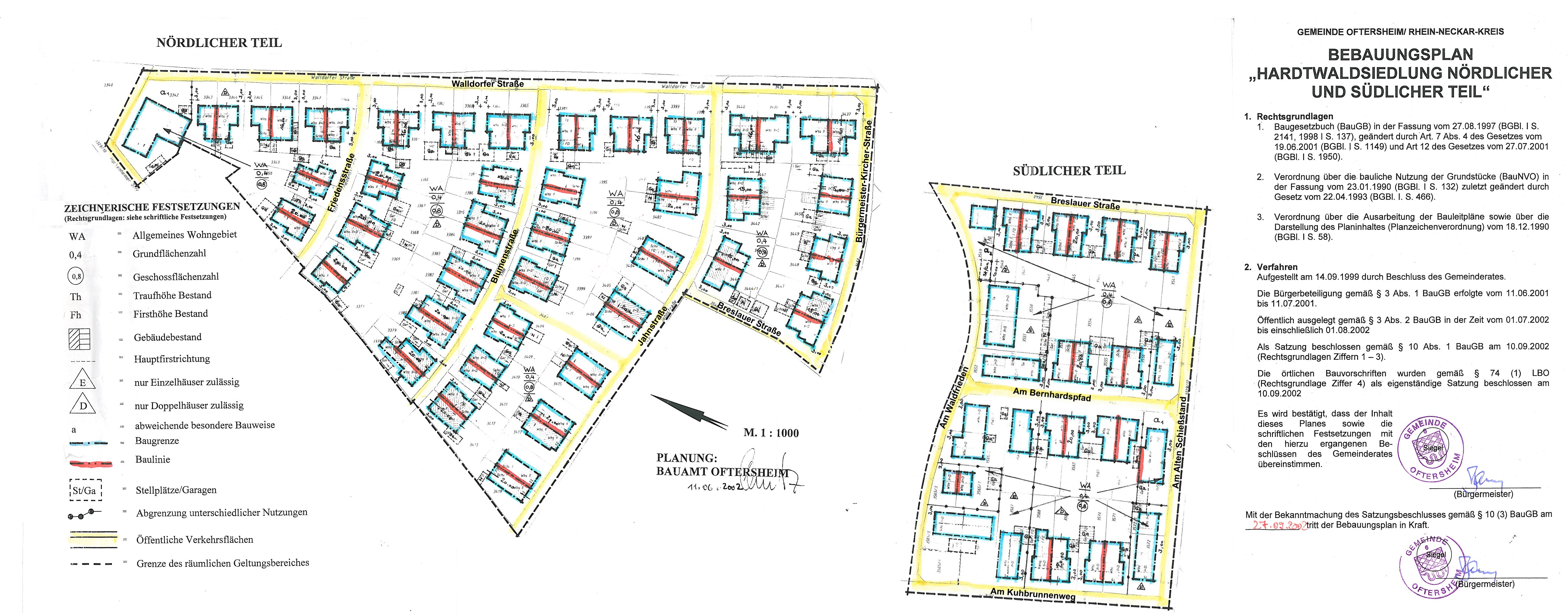
25 Bebauungsplan "Hardtwaldsiedlung nördlicher und südlicher Teil"
| Typ | Name | Datum | Größe |
|---|---|---|---|
| TF. B-Plan Hardtwaldsiedlung nördlicher und südlicher Teil (PDF,45 KB) | 16.09.2025 | 45 KB | |
| ZF. & BG. B-Plan Hardtwaldsiedlung nördlicher und südlicher Teil.jpg (JPG,4,4 MB) | 16.09.2025 | 4,4 MB |
26 Bebauungsplan "Kleingartengebiet Am Oberfeldweg"
| Typ | Name | Datum | Größe |
|---|---|---|---|
| B-Plan Kleingartengebiet am Oberfeldweg-textliche Festsetzung (PDF,41 KB) | 28.04.2025 | 41 KB | |
| B-Plan Kleingartengebiet am Oberfeldweg zeichnerischer Teil mit Begründung (PDF,4,7 MB) | 28.04.2025 | 4,7 MB |
27 Bebauungsplan "Am Biegen"
| Typ | Name | Datum | Größe |
|---|---|---|---|
| Am Biegen Begründung (PDF,223 KB) | 28.04.2025 | 223 KB | |
| Am Biegen textliche Festsetzung (PDF,289 KB) | 28.04.2025 | 289 KB | |
| B-Plan Am Biegen zeichnerischer Teil (PDF,4,5 MB) | 28.04.2025 | 4,5 MB |
28 Bebauungsplan "Golfplatz Oftersheim"
| Typ | Name | Datum | Größe |
|---|---|---|---|
| B-Plan Golfplatz textliche Festsetzung (PDF,1,3 MB) | 28.04.2025 | 1,3 MB | |
| B-Plan Golfplatz Satzungen (PDF,95 KB) | 28.04.2025 | 95 KB | |
| B-Plan Golfplatz zeichnerischer Teil (PDF,662 KB) | 28.04.2025 | 662 KB | |
| 1307 05 Begründung Teil 1-Begründung 170928 (PDF,24 MB) | 28.04.2025 | 24 MB |
29 Bebauungsplan "Quartier Dietzengässel"
| Typ | Name | Datum | Größe |
|---|---|---|---|
| Bebauungsplan - Quartier Dietzengässel - Zeichnerischer Teil (PDF,273 KB) | 28.04.2025 | 273 KB | |
| Bebauungsplan - Quartier Dietzengässel - textlicher Teil mit Begründung (PDF,1,1 MB) | 28.04.2025 | 1,1 MB |
30 Bebauungsplan "Zwischen Scheffelstraße und Plankstadter Straße"
| Typ | Name | Datum | Größe |
|---|---|---|---|
| TF.B-Plan Zwischen Scheffelstraße und Plankstadter Straße.pdf (PDF,348 KB) | 26.01.2026 | 348 KB | |
| ZF. B-Plan Zwischen Scheffelstraße und Plankstadter Straße.pdf (PDF,1,4 MB) | 26.01.2026 | 1,4 MB | |
| BG.B-Plan Zwischen Scheffelstraße und Plankstadter Straße (PDF,6,2 MB) | 27.01.2026 | 6,2 MB |
